Use Custom Data Type Override Settings for Range Collection
This example shows how to specify custom data type override settings to use during the range collection step in the Fixed-Point Tool.
By default, the Fixed-Point Tool honors the data types and any data type override specified on the model. You can use the Fixed-Point Tool to override data types in your model with doubles, singles, or scaled doubles. To specify custom data type overrides for elements within your model, use the set_param function.
Load a Simple Model
Open the fxp_custom_dto model. The model consists of three subsystems. Update the diagram (Ctrl+D) to display the data types currently set on the model.
open_system('fxp_custom_dto')

The original model uses the double-precision data type for each of the three subsystems within the model.
Override Data Types for a Subsystem
To override the data types in Subsystem A and Subsystem C with singles, use the set_param function:
set_param('fxp_custom_dto/Subsystem A','DataTypeOverride','Single'); set_param('fxp_custom_dto/Subsystem C','DataTypeOverride','Single');
Update the diagram and inspect the model to confirm that the data type override has been applied.

Collect Ranges Using the Fixed-Point Tool
In the Apps tab of the fxp_custom_dto model, select Fixed-Point Tool.
In the Fixed-Point Tool, select New > Range Collection. Under System Under Design (SUD), select fxp_custom_dto. Under Range Collection Mode, select Simulation Ranges.
Under Collect Ranges, select Use current settings. Click Collect Ranges.
The Fixed-Point Tool collects ranges via simulation using the current data type override applied to your model. In this example, the data types of Subsystem A and Subsystem C are overrode with singles, and Subsystem B remains in double precision.
Verify Data Type Override Settings
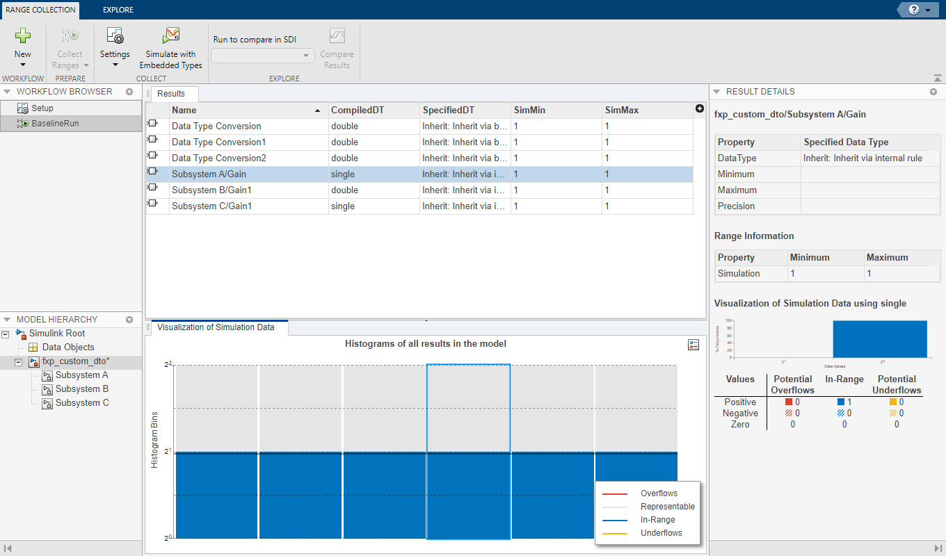
To verify that the custom data type override settings specified using the set_param function were applied to the model during the range collection run, inspect the Results spreadsheet in the Fixed-Point Tool.
The compiled data type (CompiledDT) column for BaselineRun shows that Subsystem A and Subsystem C used the single data type, while the rest of the model was simulation using the double data type.

Data Type Override for a Model Reference Hierarchy
When you simulate a model that contains referenced models, the data type override settings for the top-level model do not control the settings for the referenced models. You must specify these settings separately for referenced models, and if the settings must be consistent. For example, if you set the top-level model data type override setting to double and the referenced model to use local settings, and the referenced model uses fixed-point data types, then data type propagation issues might occur.
When you change the data type override settings for any instance of a referenced model, the settings change on all instances of the model and on the referenced model itself.
See Also
Fixed-Point Instrumentation and Data Type Override | Convert a Referenced Model to Fixed Point